What Is A Plat

What Is A Plat

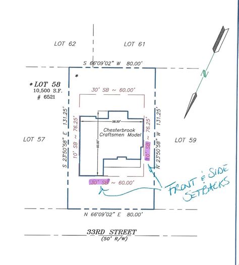
In the realm of mathematics and geometry, the concept of a plat is fundamental. Understanding what is a plat involves delving into the intricacies of geometric shapes and their properties. A plat, short for "plat of survey," is a detailed map or diagram that outlines the boundaries and features of a specific piece of land. It is a crucial document in land surveying, real estate, and urban planning. This blog post will explore the significance of plats, their components, and their applications in various fields.

Understanding the Basics of a Plat

A plat is essentially a scaled drawing that represents the physical features and boundaries of a parcel of land. It is used to establish the legal description of the land, which is essential for property transactions, zoning, and development. The plat includes various elements such as property lines, easements, and improvements. Understanding these components is key to grasping the full scope of what a plat entails.

Components of a Plat

A typical plat includes several key components that provide a comprehensive overview of the land. These components are:

  • Property Lines: These are the boundaries that define the extent of the land. They are clearly marked on the plat to avoid any disputes over ownership.
  • Easements: These are rights granted to others to use the land for specific purposes, such as utility lines or access roads. Easements are crucial for maintaining infrastructure and ensuring access.
  • Improvements: These include any structures or features added to the land, such as buildings, roads, and fences. Improvements are noted on the plat to provide a clear picture of the land's current state.
  • Legal Description: This is a written description of the land that includes its boundaries, dimensions, and any relevant legal information. The legal description is often included on the plat for reference.
  • Scale and Orientation: The plat includes a scale to indicate the size of the land and an orientation to show the direction of the boundaries. This helps in accurately interpreting the plat.

Types of Plats

Plats can be categorized into different types based on their purpose and the information they contain. The most common types of plats are:

  • Subdivision Plat: This type of plat is used to divide a larger parcel of land into smaller lots for development. It includes detailed information about the layout of the lots, streets, and other improvements.
  • Condominium Plat: This plat is used for condominium developments and includes information about the individual units, common areas, and boundaries.
  • Survey Plat: This is a general plat that provides an overview of the land's boundaries, features, and improvements. It is often used for legal and administrative purposes.
  • Topographic Plat: This plat includes detailed information about the land's topography, such as elevation, slopes, and natural features. It is useful for engineering and construction projects.

Applications of Plats

Plats are used in various fields and have numerous applications. Some of the key areas where plats are essential include:

  • Real Estate: Plats are crucial for property transactions, as they provide a clear and legal description of the land. They help in determining property values, boundaries, and easements.
  • Urban Planning: Plats are used in urban planning to design and develop land for residential, commercial, and industrial purposes. They help in creating efficient and sustainable urban environments.
  • Land Surveying: Plats are the primary tools used by land surveyors to measure and map land. They provide accurate and detailed information about the land's boundaries and features.
  • Engineering and Construction: Plats are essential for engineering and construction projects, as they provide detailed information about the land's topography and improvements. They help in planning and executing construction projects efficiently.

Creating a Plat

Creating a plat involves several steps, each of which requires precision and attention to detail. The process typically includes the following steps:

  • Field Survey: The first step is to conduct a field survey to gather accurate data about the land's boundaries, features, and improvements. This involves using surveying equipment and techniques to measure the land.
  • Data Collection: The next step is to collect and organize the data gathered during the field survey. This includes recording measurements, taking photographs, and documenting any relevant information.
  • Drafting the Plat: Using the collected data, a detailed drawing of the land is created. This includes marking the property lines, easements, improvements, and other relevant features.
  • Review and Approval: The draft plat is reviewed for accuracy and completeness. It is then submitted for approval to the relevant authorities, such as the local government or planning commission.
  • Finalization: Once approved, the plat is finalized and recorded with the appropriate land records office. This makes it a legal document that can be used for property transactions and other purposes.

📝 Note: The process of creating a plat can vary depending on the type of plat and the specific requirements of the project. It is important to follow local regulations and guidelines to ensure the plat is accurate and legally binding.

Importance of Accurate Plats

Accurate plats are essential for various reasons. They provide a clear and legal description of the land, which is crucial for property transactions, zoning, and development. Accurate plats help in avoiding disputes over property boundaries and easements. They also ensure that land is used efficiently and sustainably, which is important for urban planning and environmental conservation.

Inaccurate plats can lead to several problems, including:

  • Boundary Disputes: Inaccurate plats can result in disputes over property boundaries, leading to legal battles and financial losses.
  • Zoning Issues: Inaccurate plats can cause zoning issues, as they may not comply with local regulations and guidelines. This can result in delays and additional costs for development projects.
  • Environmental Impact: Inaccurate plats can lead to environmental degradation, as they may not account for natural features and ecosystems. This can result in habitat loss, pollution, and other environmental problems.

Challenges in Plat Creation

Creating a plat can be challenging due to various factors. Some of the common challenges include:

  • Complex Terrain: Land with complex terrain, such as steep slopes or irregular shapes, can be difficult to survey and map accurately.
  • Historical Records: Inaccurate or incomplete historical records can make it challenging to determine the exact boundaries and features of the land.
  • Legal and Regulatory Requirements: Compliance with local regulations and guidelines can be complex and time-consuming. It is important to stay updated with the latest requirements to ensure the plat is accurate and legally binding.
  • Technological Limitations: The accuracy of a plat depends on the surveying equipment and techniques used. Outdated or inadequate technology can result in inaccurate measurements and maps.

To overcome these challenges, it is important to use advanced surveying techniques and equipment, stay updated with local regulations, and consult with experienced professionals.

The field of plat creation is evolving rapidly, driven by advancements in technology and changes in regulatory requirements. Some of the future trends in plat creation include:

  • Use of Drones: Drones are increasingly being used for land surveying, as they provide a cost-effective and efficient way to gather data. They can capture high-resolution images and videos, which can be used to create detailed and accurate plats.
  • 3D Modeling: 3D modeling technology is being used to create detailed and interactive plats. These models provide a comprehensive view of the land, including its topography, features, and improvements.
  • Geographic Information Systems (GIS): GIS technology is being used to integrate plats with other spatial data, such as maps, satellite images, and environmental data. This provides a holistic view of the land and its surroundings, which is useful for urban planning and environmental conservation.
  • Automation and AI: Automation and artificial intelligence (AI) are being used to streamline the process of plat creation. AI algorithms can analyze data and generate plats quickly and accurately, reducing the time and effort required.

These trends are expected to revolutionize the field of plat creation, making it more efficient, accurate, and sustainable.

Plats are essential documents that provide a clear and legal description of land. They are used in various fields, including real estate, urban planning, land surveying, and engineering. Understanding what is a plat and its components is crucial for anyone involved in land-related activities. Accurate plats help in avoiding disputes, ensuring compliance with regulations, and promoting sustainable land use. As technology continues to evolve, the process of plat creation is becoming more efficient and accurate, paving the way for better land management and development.

Related Terms:

  • what is a certified plat
  • what does a plat mean
  • what is plat map
  • what's a plat map
  • what is a town plat
  • what is a plat name