Plat Of Survey

Plat Of Survey

In the realm of land surveying and property management, the plat of survey stands as a critical document that provides a detailed and accurate representation of a parcel of land. This document is essential for various purposes, including property transactions, legal disputes, and development planning. Understanding the intricacies of a plat of survey can help property owners, developers, and legal professionals make informed decisions.

Understanding the Plat of Survey

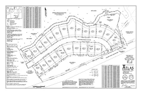
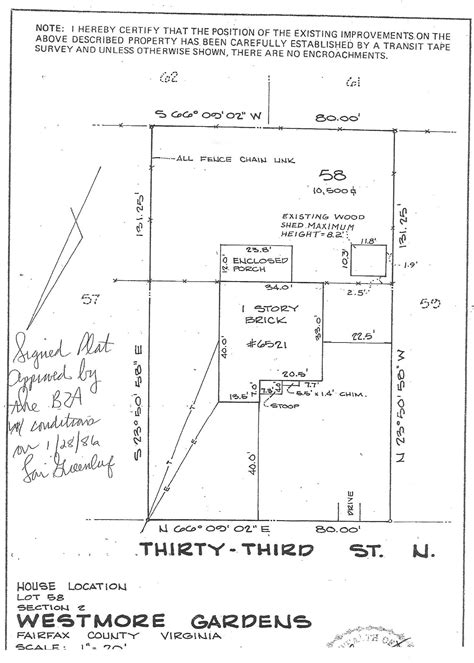
A plat of survey is a scaled diagram that illustrates the boundaries, dimensions, and features of a specific piece of land. It is created by a licensed surveyor and serves as a legal record of the property's layout. The plat of survey includes various elements that provide a comprehensive overview of the land, such as:

  • Property boundaries and dimensions
  • Location of buildings, structures, and improvements
  • Easements, rights-of-way, and encroachments
  • Topographical features, such as hills, valleys, and water bodies
  • Utility lines and infrastructure

These elements are crucial for understanding the physical characteristics and legal constraints of the property.

Importance of a Plat of Survey

The plat of survey plays a pivotal role in various aspects of land management and development. Here are some key reasons why it is important:

  • Property Transactions: A plat of survey is often required during the sale or purchase of a property. It helps buyers understand the exact boundaries and features of the land, ensuring transparency and preventing disputes.
  • Legal Disputes: In cases of boundary disputes or encroachments, a plat of survey serves as a legal document that can be used in court to resolve conflicts.
  • Development Planning: Developers rely on plats of survey to plan and execute construction projects. It provides essential information about the land's topography, existing structures, and utility lines, which are crucial for designing and building.
  • Zoning and Compliance: Local governments use plats of survey to ensure that properties comply with zoning regulations and building codes. It helps in assessing the suitability of a property for specific uses and developments.

Creating a Plat of Survey

The process of creating a plat of survey involves several steps, each requiring precision and expertise. Here is an overview of the key steps involved:

Site Visit and Data Collection

The first step in creating a plat of survey is a thorough site visit by a licensed surveyor. During this visit, the surveyor collects data on the property's boundaries, dimensions, and features. This includes:

  • Measuring the property lines using advanced surveying equipment
  • Identifying and documenting existing structures, improvements, and topographical features
  • Locating utility lines, easements, and rights-of-way

Accurate data collection is crucial for creating an accurate and reliable plat of survey.

Data Analysis and Mapping

Once the data is collected, the surveyor analyzes it to create a detailed map of the property. This involves:

  • Using surveying software to plot the property boundaries and dimensions
  • Incorporating topographical features, structures, and utility lines into the map
  • Ensuring that all elements are accurately represented and scaled

This step requires a high level of technical skill and attention to detail to ensure the accuracy of the plat of survey.

Review and Approval

After the map is created, it undergoes a review process to ensure its accuracy and compliance with legal and regulatory standards. This may involve:

  • Reviewing the map with the property owner or developer to ensure all details are correct
  • Submitting the map to local authorities for approval and recording
  • Making any necessary revisions based on feedback and regulatory requirements

Once approved, the plat of survey becomes a legal document that can be used for various purposes.

πŸ“ Note: The accuracy of a plat of survey is crucial for its legal validity. Any errors or omissions can lead to disputes and legal complications.

Key Elements of a Plat of Survey

A well-prepared plat of survey includes several key elements that provide a comprehensive overview of the property. These elements are essential for understanding the land's characteristics and legal constraints. Here are some of the key elements:

Property Boundaries and Dimensions

The boundaries and dimensions of the property are the most fundamental elements of a plat of survey. They define the exact extent of the land and are crucial for determining ownership and usage rights. The boundaries are typically marked with monuments, such as iron pins or concrete markers, and are measured using precise surveying equipment.

Location of Buildings and Structures

The plat of survey also includes the location of all buildings, structures, and improvements on the property. This information is essential for understanding the existing infrastructure and planning future developments. The map should clearly indicate the size, shape, and orientation of each structure, as well as its distance from the property boundaries.

Easements, Rights-of-Way, and Encroachments

Easements, rights-of-way, and encroachments are legal agreements that grant specific rights to use or access the property. A plat of survey should clearly indicate the location and extent of these features, as they can affect the property's value and usability. For example, an easement may allow a utility company to access the property for maintenance purposes, while a right-of-way may grant neighbors access to a shared driveway.

Topographical Features

Topographical features, such as hills, valleys, and water bodies, are also included in a plat of survey. These features can affect the property's suitability for various uses and developments. For example, a steep slope may limit the types of structures that can be built, while a nearby water body may require special considerations for drainage and erosion control.

Utility Lines and Infrastructure

Utility lines and infrastructure, such as water, gas, and electricity lines, are essential for the property's functionality. A plat of survey should clearly indicate the location of these lines to prevent damage during construction and ensure proper maintenance. This information is also crucial for planning future developments and expansions.

Common Issues with Plat of Surveys

While a plat of survey is a valuable document, it can also present challenges and issues that need to be addressed. Some common issues include:

  • Inaccuracies and Errors: Inaccuracies and errors in a plat of survey can lead to disputes and legal complications. It is essential to ensure that the survey is conducted by a licensed and experienced surveyor to minimize the risk of errors.
  • Outdated Information: A plat of survey may become outdated if the property undergoes changes, such as new construction or boundary adjustments. It is important to update the survey regularly to reflect the current state of the property.
  • Legal and Regulatory Compliance: A plat of survey must comply with local laws and regulations. Failure to do so can result in legal issues and delays in property transactions or development projects.

Addressing these issues requires careful attention to detail and adherence to best practices in surveying and land management.

Best Practices for Using a Plat of Survey

To maximize the benefits of a plat of survey, it is important to follow best practices in its creation, use, and maintenance. Here are some key best practices:

  • Hire a Licensed Surveyor: Always hire a licensed and experienced surveyor to conduct the survey. This ensures accuracy and compliance with legal and regulatory standards.
  • Regular Updates: Update the plat of survey regularly to reflect any changes in the property, such as new construction or boundary adjustments.
  • Comprehensive Review: Conduct a comprehensive review of the plat of survey with all relevant parties, including property owners, developers, and legal professionals, to ensure accuracy and completeness.
  • Legal Compliance: Ensure that the plat of survey complies with all local laws and regulations. This includes obtaining necessary approvals and recordings from local authorities.

By following these best practices, you can ensure that your plat of survey is accurate, reliable, and useful for various purposes.

πŸ“ Note: Regularly updating your plat of survey can help prevent disputes and legal complications, ensuring that the document remains a valuable and reliable resource.

Case Studies: Real-World Applications of Plat of Surveys

To illustrate the practical applications of a plat of survey, let's examine a few case studies that highlight its importance in various scenarios.

Residential Property Transaction

In a residential property transaction, a plat of survey is often required to ensure transparency and prevent disputes. For example, a buyer may request a plat of survey to verify the property boundaries, identify any encroachments, and understand the location of existing structures and utility lines. This information helps the buyer make an informed decision and negotiate the terms of the sale.

Commercial Development Project

In a commercial development project, a plat of survey is essential for planning and executing the construction. For instance, a developer may use a plat of survey to assess the property's topography, identify existing structures and utility lines, and plan the layout of new buildings and infrastructure. This information is crucial for obtaining necessary permits and ensuring compliance with zoning regulations and building codes.

In cases of legal disputes, a plat of survey can serve as a critical piece of evidence. For example, in a boundary dispute between neighboring properties, a plat of survey can help resolve the conflict by providing an accurate representation of the property boundaries. This information can be used in court to determine ownership and usage rights, ensuring a fair and just resolution.

Conclusion

A plat of survey is an indispensable document in the realm of land surveying and property management. It provides a detailed and accurate representation of a parcel of land, including its boundaries, dimensions, and features. Understanding the importance, creation, and key elements of a plat of survey can help property owners, developers, and legal professionals make informed decisions and prevent disputes. By following best practices and addressing common issues, you can ensure that your plat of survey remains a valuable and reliable resource for various purposes.

Related Terms:

  • example of plat survey
  • plat map vs survey
  • plat survey of my property
  • difference between plat and survey
  • plat and survey difference
  • plat of survey cost